Vakantieperiode 1/1/2026 - 8/1/2026

Title

Description

ZONNESTRAAT NIEUWKERKEN-WAAS

Zonnestraat , 9100 NIEUWKERKEN-WAAS
Verkocht
  • 1_plan lot 6 - verkoop_ontwerp.pdf
  • IMG_3592.jpeg
  • IMG_3594.jpeg
  • IMG_3596.jpeg
  • IMG_3597.jpeg
  • foto google (2).jpg
  • 1_plan lot 6 - verkoop met verkaveling.pdf
290.000
Zonnestraat
9100 NIEUWKERKEN-WAAS

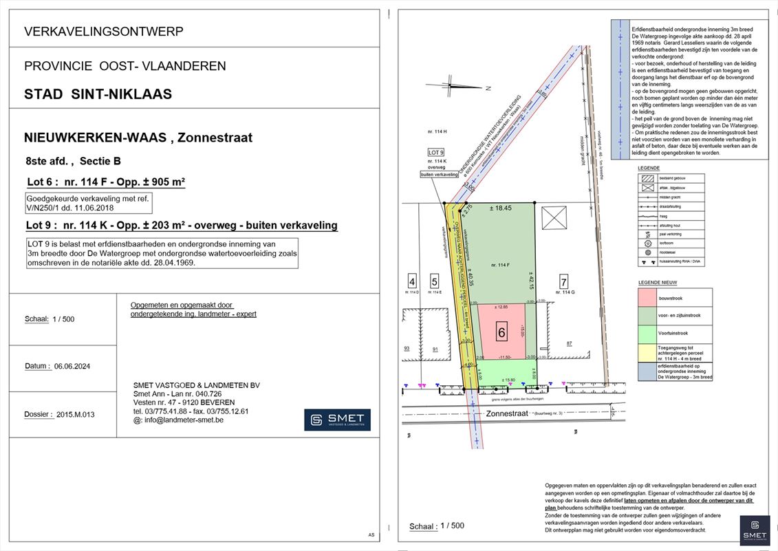
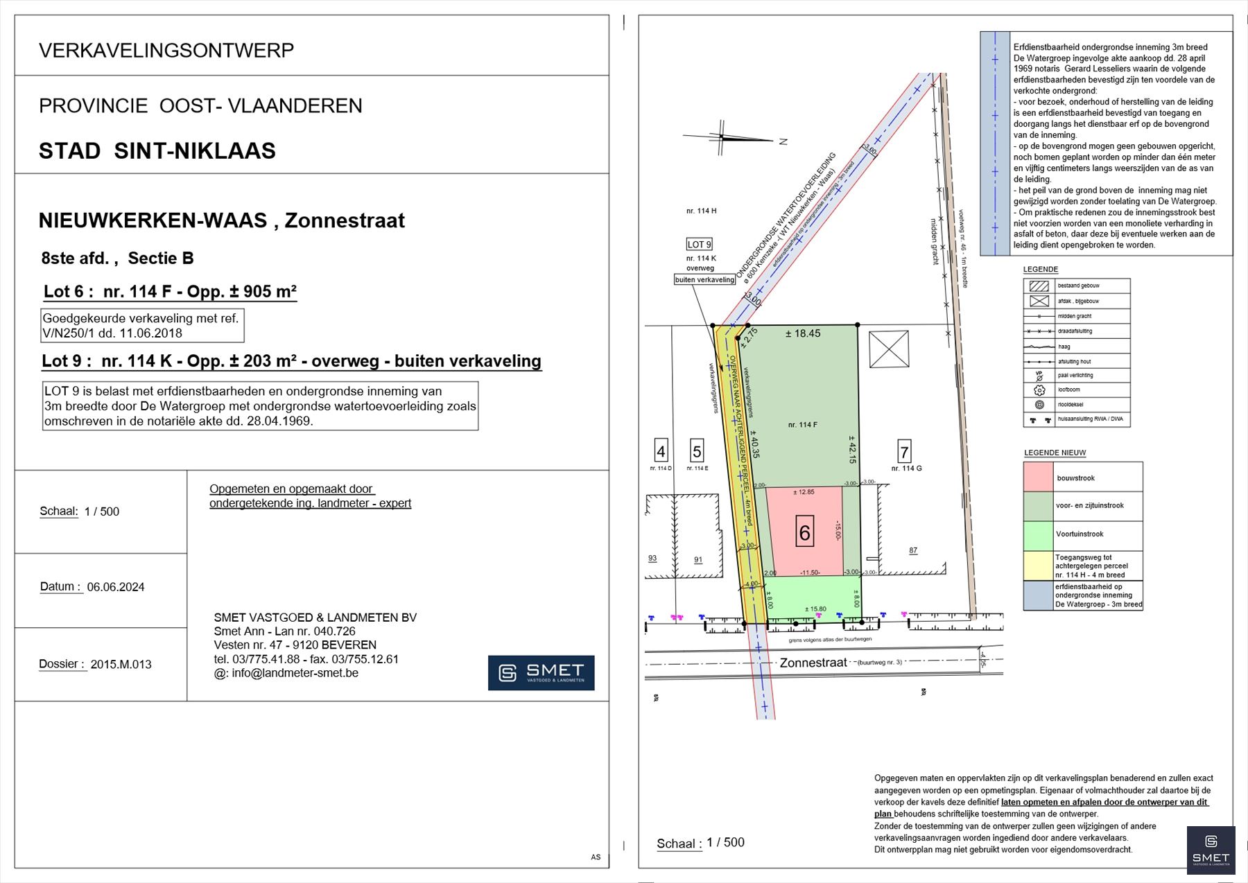
GOED GELEGEN BOUWGROND VOOR OPEN BEBOUWING Bent u op zoek naar een landelijk gelegen en bovendien z/w-geörienteerde bouwgrond voor een Open Bebouwing? Zoek dan niet verder ! Deze unieke BG heeft alle troeven om jouw droomhuis te kunnen verwezenlijken ! Ter info : De grond wordt nog ontruimd en geëgaliseerd vòòr verkoop ! Het volledige aangeboden perceel van ± 1.108 m² bestaat uit 2 loten : -lot 6 : BG voor Open Bebouwing van ± 905 m² -lot 9 : Overweg naar achterliggend perceel van ± 203 m² Kenmerken en mogelijkheden voor lot 6 : - Bouwgrond voor Open Bebouwing - breedte perceel : ± 15,80 m - diepte perceel : ± 42,15 m - Kroonlijsthoogte : 3 - 6,5 m - alle dakvormen zijn toegelaten (helling tussen 0° en 45°) - max. bouwdiepte : 15 m glvlr (bij 1 bouwlaag tot 20 m) 12 m op verdieping - max. bouwbreedte : 11,5 m - GEEN Bouwverplichting Kenmerken voor lot 9 : - Overweg naar achterliggend perceel landbouwgrond - Ondergrondse water toevoerleiding - Breedte : ± 4 m - Lengte : ± 42,50 m Wenst u graag meer info? Gelieve ons dan te contacteren op het nummer 03 775 41 88 of mail naar christel@vastgoed-smet.be www.vastgoed-smet.be “De verstrekte gegevens/informatie (zowel online als gedrukt) worden vrijblijvend verstrekt, enkel ter inlichting, zonder contractuele verbintenis of garantie van onzentwege en kunnen op ieder ogenblik gewijzigd worden”

Comfort

  • Heating: ?

Urban planning information

  • Right of first refusal: In aanvraag
  • Building permit obtained: Niet van toepassing
  • Summons issued: In aanvraag
  • Subdivision permit: Ja
  • Destination:In aanvraag

Antiatur, sed mo ea quo magnam faceruptis estorunt est, consecate es reria doloria earuntius ressim

  • Lorem ipsum dolor sit amet?

    Lorem ipsum dolor sit amet, consectetur adipiscing elit, sed do eiusmod tempor incididunt ut labore et dolore magna aliqua. Ut enim ad minim veniam, quis nostrud exercitation ullamco laboris nisi ut aliquip ex ea commodo consequat.

  • Lorem ipsum dolor sit amet?

    Lorem ipsum dolor sit amet, consectetur adipiscing elit, sed do eiusmod tempor incididunt ut labore et dolore magna aliqua. Ut enim ad minim veniam, quis nostrud exercitation ullamco laboris nisi ut aliquip ex ea commodo consequat.

  • Lorem ipsum dolor sit amet?

    Lorem ipsum dolor sit amet, consectetur adipiscing elit, sed do eiusmod tempor incididunt ut labore et dolore magna aliqua. Ut enim ad minim veniam, quis nostrud exercitation ullamco laboris nisi ut aliquip ex ea commodo consequat.

  • Sinds 1973

    Lorem ipsum dolor sit amet, consectetur adipiscing elit, sed do eiusmod tempor incididunt ut labore et dolore magna aliqua.

  • 100% ontzorgd

    Lorem ipsum dolor sit amet, consectetur adipiscing elit, sed do eiusmod tempor incididunt ut labore et dolore magna aliqua.

  • Alles onder 1 dak

    Lorem ipsum dolor sit amet, consectetur adipiscing elit, sed do eiusmod tempor incididunt ut labore et dolore magna aliqua.

  • Persoonlijk contact

    Lorem ipsum dolor sit amet, consectetur adipiscing elit, sed do eiusmod tempor incididunt ut labore et dolore magna aliqua.